Stone Brewing Company
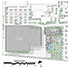
smartDESIGN (SD) worked with the Batavia Development Corporation and the Mancuso Business Development Group to develop a Master Plan at the Harvester Center in Batavia for a San Diego-based brewing company looking to expand to the eastern U.S. Working with the property owner, the City of Batavia, and the Genesee County Economic Development Corporation, SD proposed a new 130,000 SF manufacturing facility, 43,000 SF of building renovations for brewery related dining and retail, and a 54,000 SF outdoor beer garden per the company’s RFP.
The plan called for a combination of targeted demolition, rehabilitation, and new construction to create a dynamic campus in an urban setting that was in-line with Stone Brewing Co’s culture and stated goals. The proposal was in competition with several municipalities along the entire east coast